


Zdjęcia z Wrocławia/dawniej fotowroclaw.blox.pl



Brzmi dziwnie? Trochę. A jednak tak było, przynajmniej czytając uchwałę Rady Miasta z dnia 23.11.1991.
Wtedy to została została podjęta uchwała nr XXXIII/205/91, która mówi ,że:
Na podstawie art. 18 ust. 2 pkt 13 ustawy z dnia 8 marca 1990 r.
o samorządzie terytorialnym (Dz.U. Nr 16 poz. 95 z późniejszymi
zmianami) Rada Miejska uchwala co następuje:
§ 1
1. Zmienia się nazwę ulicy Władysława Andersa na ulicę Ananasową.
2. Zmienia się nazwę ulicy Stanisława Kopańskiego na
ul. Mandarynkową.
3. Zmienia się nazwę ulicy Leopolda Okulickiego na ulicę Oliwkową.
4. Zmienia się nazwę ulicy Antoniego Chruściela na ul. Pomarańczową.
5. Zmienia się nazwę ulicy Tadeusza Bora-Komorowskiego na
ul. Cytrynową.
6. Zmienia się nazwę ulicy Józefa Hallera na ul. Niebieską.
7. Zmienia się nazwę ulicy Kazimierza Sosnkowskiego na ul. Beżową.
8. Zmienia się nazwę ulicy Stanisława Sosabowskiego na
ul. Granatową.
9. Zmienia się nazwę ulicy Tadeusza Kutrzeby na ul. Perłową.
10. Zmienia się nazwę ulicy Juliusza Rommla na ul. Seledynową.
11. Zmienia się nazwę ulicy Józefa Urunga na ul. Szkarłatną.
12. Zmienia się nazwę ulicy Stefana Frankowskiego na ul. Purpurową.
I teraz ciekawostka – dostępne plany Wrocławia z tego okresu nie zawierają wspomnianych ulic (np. plan z 1990 roku).
A tak to wygląda teraz.
Zakładam, że te ulice na początku lat 90 były albo drogami gruntowymi, albo ogródkami działkowymi. Niemniej na planie miasta powinny w ten czy inny sposób zaistnieć
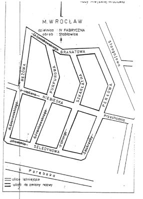
Wg. szkiców załączonych do uchwały wyglądało to tak:
Aktualizacja:
Po przejrzeniu ortofotomapy Wrocławia z 1994 roku widać, że wspomniane ulice były w tamtym czasie drogami gruntowymi, a nawet nie istniały (Oliwkowa).
Oryginalny wpis zamieściłem na Stabłowicach.
Można by powiedzieć: jak ten czas szybko leci!
Fotowroclaw skończył właśnie 10 lat: to 1 sierpnia 2006 roku, będąc jeszcze studentem założyłem ten blog,a potem pojawiła się eovyn i tak zostało do dzisiaj. Staramy się co jakiś czas o aktualizację, ale nie jest to łatwe, zwłaszcza, że w tej chwili więcej dzieje się na Stabłowicach 😉
Pierwszy wpis dotyczył cmentarza żołnierzy radzieckich – od tego czasu powstało jeszcze 567 wpisów.
W międzyczasie fajnie było poznać autorów nie istniejącego miastowroclaw.blox.pl czy teraz już kultowej lissy 🙂
Bloga nie zamykamy, jak czas i życie (Małe Szczęście) pozwoli to będziemy aktualizować.
Dzięki, że tu zaglądacie 🙂
5 blogów, które lubię.
Niebo w gębie – no… mniam!
Dziennik Rosyjski – wschodnia granica zawsze mnie interesowała
Koszmary architektury – bo się kreska krzywo namalowała…
Jestem sobie żółtą koparką… – uwielbiam ten blog 😀
V4 – o grupie Wyszechradzkiej
Po co więcej pisać… Zajrzyjcie do nich 🙂
Mam przyjemność zaprosić wszystkich Wrocławian (i nie tylko) na wystawę zdjęć kolegi Adama. Jak można przeczytać na zaproszeniu (poniżej) odbędzie się ona w dniach 5-31 grudnia 2006r. w Miejskiej Bibliotece Publicznej przy ul. Parkowej 38/40.
Niewielką część prac kolegi Adama można zobaczyć tutaj.
Zapraszam.
Szkoda, że taki zaniedbany…